宇都宮
---
/
---
朝刊夕刊
紙面
おくやみ
災害防災
アプリ
会員情報
とちぽ
購読案内
ログイン
トップ
速報
事件事故
交通事故
火災
交通情報
地域
宇都宮市
足利市
栃木市
佐野市
鹿沼市
日光市
小山市
真岡市
大田原市
矢板市
那須塩原市
さくら市
那須烏山市
下野市
上三川町
益子町
茂木町
市貝町
芳賀町
壬生町
野木町
塩谷町
高根沢町
那須町
那珂川町
スポーツ
高校野球
ブレックス
栃木SC
栃木シティ
バックス
ブリッツェン
ゴールデンブレーブス
小中高校生
大学生・一般
デジタル発
あなとち
あなとち+
下野新聞デジタル発
エスポルとち
はぐくもっと
次代を創る とちぎ気鋭の経営者
とちQ
しもつけshort
くらしのリアル
たじの頑張らない日々
子どもタイムズデジタル
経済
県内経済
企業情報
人事情報
農林水産業
観光業
マーケット速報
社会
安心・安全
医療・福祉
教育・学び
文化・芸術
お出かけ・イベント
イベント検索
気象・災害
災害防災ポータル
政治行政
県政
市政・町政
選挙
国政
とちぎの選挙
オピニオン
雷鳴抄
論説
ピックアップコラム
全国
主要
社会
政治
経済
国際
スポーツ
暮らし
文化・芸能
科学・環境・医療
エンタメカルチャー
プライムニュース
会社案内
広告・PR
採用案内
主催イベント
教育・受験
出版
掲載写真の提供
記念日紙面
著作物の二次利用
トピックス
入試受験情報
インフル情報
夜に見つめる
県内開店情報
少年サッカー
ミラノ五輪
グルメ食べ歩き
子育てにプラス
PICK UP
ご愛読大感謝キャンペーン
教育美術展入賞者
写真注文サービス
ニュースレター
栃宮るりは
きたかんナビ
とりぷれ
HOME
全国のニュース
フォトギャラリー
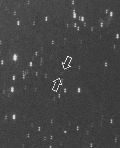
小惑星に「Meizen」命名
2026年2月24日 午後3時00分
小惑星「Meizen」発見当時の画像(渡辺和郎さん提供)
» 記事に戻る
「全国のニュース」の写真
» 一覧へ
名古屋地裁
この写真の記事へ
国土交通省=東京・霞が関
この写真の記事へ
公正取引委員会=東京都港区
この写真の記事へ
衆院本会議で、代表質問に臨む中道改革連合の小川代表(手前)と高市首相=24日午後
この写真の記事へ
エリトリアのイサイアス大統領=2023年2月、ケニア・ナイロビ(ロイター=共同)
この写真の記事へ
エチオピアのアビー首相=2025年9月、アディスアベバ(ロイター=共同)
この写真の記事へ
新着記事
交通不正問題で臨時会議
為替相場 24日(日本時間17時)
首相、超短期決戦の判断を陳謝
首相、超党派「国民会議」に意欲
まるで僧侶、京大がロボット開発
JR西、新型の顔認証改札機公開
下野新聞ニュースレター
【月曜~金曜・夜6時】
最新ニュースがわかる無料のメールマガジン
無料でニュースレターを受け取る
ランキング
1時間
24時間
1週間
1
衆院栃木3区、保守分裂の行方は? 全国の「無所属勝利」事例から読み解く 渡辺氏と簗…
2
警察からのお知らせ(鹿沼警察署)
3
栃木県畜産公社に国が行政処分、外国人技能実習の認定取り消し 違反事案は「公表差し控…
4
東北道3人死亡、逆走の男を容疑者死亡で不起訴 追突トラック運転手は在宅起訴
5
佐野に「とりせん田沼インター店」オープンへ ドミナント強化か、半径2.5キロ圏に3…
もっと読む
速報
17:30
送金後に「詐欺でした」と返信… 栃木の女性が暗号資産5030万円被害
16:32
強盗未遂の疑いでブラジル国籍の男逮捕 小山署
15:00
栃木県が過去最高の全国2位 25年都道府県移住希望地ランキング 移住と結婚支援の施策など奏功か
8:26
那須烏山のビニールハウスで火災
8:24
宇都宮の小屋で火災
2/23
鹿沼の山林火災、自衛隊など23日も消火活動 被害面積100ヘクタール
2/23
宇都宮で下草火災、野焼きが燃え移る 男性がけが
2/23
佐野で23.9度、2月の観測史上最高気温 8地点で今年最高 関東では2年ぶり「春一番」
2/23
上三川で下草火災 野焼きが延焼か
もっと読む
ページの先頭へ戻る